1: Summary
The Kingsmead Avenue and Sparrow Farm Road area consultation relates to a scheme that forms part of the funded Local Implementation Plan (LIP) 2019-2020 programme, as presented to the Cheam North and Worcester Park Local Committee on 5 July 2018 (see First sight of ‘Healthy Streets’ proposals for Sutton, noting the significance of the 2019-2020 financial as the first year in which borough LIP schemes are to support the vision and aims of the Mayor’s Transport Strategy, March 2018).
Section two of this report details the preliminary proposals as set out in the Kingsmead Avenue and Sparrow Farm Area consultation (June 2019). A central aim of these proposals is to encourage more people to walk or cycle by reducing the speed and volume of traffic in an area of Nonsuch ward.
Our comments on the proposals, as sent to Highways and Transport, Sutton and Kingston Shared Environment Service on 2 August 2019 in response to the consultation, are given in section three. Essentially, we believe that the proposals, as outlined, which are endeavouring to bring about traffic calming in the area, will not significantly reduce traffic volume. Traffic volume would be reduced across the entire area through the introduction of ‘modal filters’ to create a Low Traffic Neighbourhood.
2: Consultation proposals
Sutton Consultation Hub: Kingsmead Avenue/Sparrow Farm Road Area consultation
Kingsmead Avenue [Open Street Map | Google Streetview | Streetmap]
Sparrow Farm Road [Open Street Map | Google Streetview |Streetmap]
Overview
The Cheam North and Worcester Park Local Committee has agreed to consult residents in the Kingsmead Avenue / Sparrow Farm Road area on proposals to make the roads more pleasant places and easier to walk and cycle safely for residents, pedestrians and cyclists. The aim of the scheme is to encourage more people to walk or cycle by reducing the speed and volume of traffic and provide more crossing facilities in the area.
Why We Are Consulting
This year there is funding available from Transport for London to carry out a consultation with residents on a few measures to improve conditions that have already been highlighted by some residents and schools and to ask if there are any other measures you would like us to consider to improve your neighbourhood.
Documentation
Highways and Transport, Kingston and Sutton Shared Environment Service, wrote to residents on 26 June 2019 inviting them to respond to preliminary proposals:
- Introduce a 20mph speed limit area;
- Introduce a zebra crossing in Sparrow Farm Road o/s Meadow Primary School;
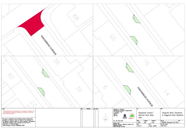
- Introduce staggered kerb buildouts in Kingsmead Avenue between London Road and Dalmeny Road and an entry treatment at the junction with Dalmeny Road.
Two plans were included: a plan providing the proposed layout for the area (see Figure 1), available as a pdf here; a plan detailing the kerb buildouts and entry treatment for Kingsmead Avenue (see Figure 2, available as a pdf here).

Figure 1: Kingsmead Avenue / Sparrow Farm Road area – layout plan

Figure 2: Kingsmead Avenue plan – staggered buildouts and entry treatment
3: Our response to the consultation
Thank you for writing to Get Sutton Cycling on 28 June 2019, and inviting us to respond to the preliminary proposals in regard to the Kingsmead Avenue / Sparrow Farm Road area consultation in Nonsuch ward.
The stated aim aim of the scheme, to encourage more people to walk or cycle by reducing the speed and volume of traffic and provide more crossing facilities in the area, is noted.
Although the scheme includes an element of traffic calming, we do not believe that the current proposals will result in any significant reduction in traffic volume. Traffic volume would be reduced across the entire area through the introduction of a few ‘modal filters’ to create a Low Traffic Neighbourhood.
It is hoped that the council propose to carry out ‘before and after’ monitoring to ascertain the impact of the proposals. An effective measurement plan is vital to build evidence that show a scheme is achieving its aims.
It is not clear how these proposals differ from those of previous schemes completed prior to the introduction of the Healthy Streets approach. For example, there is disappointment that this consultation has not gone further and suggested to residents the idea of trialling a series of ‘modal filters’ in the area. It is hoped that there will be the opportunity to promote this idea as a result of feedback received to this consultation, and then taken forward in phase 2 of the project (which it is understood, from the ‘Local Implementation Plan – Traffic Schemes 2020/21’ report presented to the Cheam North And Worcester Park Local Committee on 27 June 2019), is scheduled for LIP funding in 2020/2021.
The introduction of a 20mph speed limit throughout the area is very welcome, as is the proposal to instal a zebra crossing in Sparrow Farm Road outside Meadow Primary School. In the latter case, however, it could be beneficial for the council to liaise with the school to discuss the possibility of introducing a ‘School Street‘ here.
The proposed entry treatment on Kingsmead Avenue, at the intersection with Dalmeny Road, appears to be a ‘raised table’. The alternative ‘continuous crossing’ style treatment, along the alignment of Dalmeny Road, would be preferable. The ‘continuous crossing’ style is a more current development, and has proved to be successful at a number of locations across London.
The benefit of using staggered kerb buildouts to moderate speed, as proposed for Kingsmead Avenue, is not clear. Especially so, given that there are often vehicles parked at kerb-side along this road, and that these vehicles would essentially act as buildouts anyway. The alternative use of full-width sinusoidal speed humps would be a much better intervention. Any evidence on the effectiveness of either of these methods of traffic calming would be welcome.
Finally, this consultation provides the opportunity to mention again the Space for Cycling ‘ward ask’ for Nonsuch ward (as this includes a reference to Sparrow Farm Road):
Create a segregated cycle highway, linking North Cheam with Greenways and Quietways
The busy district centre of North Cheam does not currently feel a particularly safe place to cycle to, or cycle through. There are few alternative route options along the alignment of London Road (A24). A key aspiration is to link Greenways in Nonsuch Park (including protected space for cycling at the junction of London Road/Sparrow Farm Road) with the London Cycle Network route 75 (Quietway: Lloyd Road – Fairlands Park alignment) via the centre of North Cheam. Full segregation, which continued to the north through Stonecot ward and on to Morden, would not only get many more people cycling but also reduce pressure on parking and help enhance the sense of place for this vibrant neighbourhood.
Hope these comments are helpful, and we look forward to receiving notification of the outcome of this consultation in due course.
v1: 03.08.2018
Thanks for your email.
I don’t want the following printed but it serves a good indication of how much has been blocked off over the years.
I went to Sutton enquiring about public rights of way. I was shown an impressive map. But I pointed out to the man at Sutton that these paths no longer existed. He seemed to be of the opinion that they did.
There used to be a right of way between Trafalgar Avenue and Garth Road, providing a short cut to the 293. There also used to be a footpath between Sainsburys and the GP centre, cutting out the need to walk far after leaving the S3. There are numerous others.
The Pigs Alley route is great for cycling. Let’s hope similar schemes are implemented. Ruth
>